
10 August - That CPZ! Lining to be completed next week
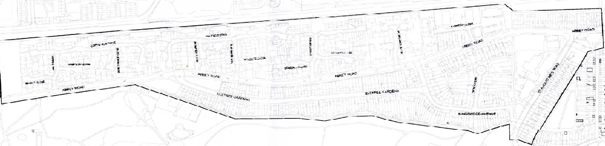
Thanks to yesterday’s letter, everyone who lives in the new CPZ area which extends from Coptefield Drive and Abbey Road (up to the existing AW CPZ) in
the West to St. Augustine’s Road in the East will know that line painting begins tomorrow. It starts with
Abbotswood Close and Abbey Road where adjacent to the Abbey, the bloody minded decision has been taken
to drive commuters away from an area which is not adjacent to houses and hence had none of the parking problem which the new CPZ is intended to solve.
By the end of the week the entire area will be painted.
The letter includes a barely readable map and a totally illegible Key
because Bexley Council’s cuts extend to printer ink, is reproduced below.
The letter is clear and well written and corrects the various spelling mistakes and
typographical errors within the Traffic Order. It tries to convince readers that
paying £135 a year to park their car in the road and £27 for ten visitor permits
is a “benefit”. To the Council presumably.
We are still no clearer to knowing whether parking bays will be marked by paint as well as signs and
whether road blocking end-on parking will be outlawed. Maybe the hope is that
the CPZ will drive those parkers away and the problem will go with them.
The restrictions will come into force on 8th September.
Next month the operation will be repeated in West Heath ward.
Abbey Road commuters will be livid and maybe driven into the arms of Reform UK
to hopefully escape the vindictive mindset that plagues Bexley Council. There is
absolutely no need to drive commuters away from the 27 (approximately) parking bays
in Abbey Road and push them to areas where they will be unwelcome. 
AW1 CPZ area.